logo: Regione FVG
logo: Regione FVG
vai ai contenuti
  • Home
  • Il catasto grotte
    • Presentazione
    • Note storiche
    • Elenco gruppi
    • Galleria fotografica
    • Galleria video
    • Virtual Tour ipogei
    • Sistema del Monte Canin
  • Aiuto
    • Domande e risposte (faq)
    • Precisione rilievo (grado UIS)
    • Come funziona
    • Registro modifiche sito web/App
  • Strumenti
    • Conversione coordinate
    • Download dati
    • App mobile
    • Agenda della grotta
    • Ricerca avanzata
    • Statistiche
    • Cartografia
  • Contatti
  • Accedi/Registrati
  • Italiano - IT
    • Italiano
    • English
    • Slovenščina

Catasto Speleologico Regionale

 

Aggiornamento scheda catastale




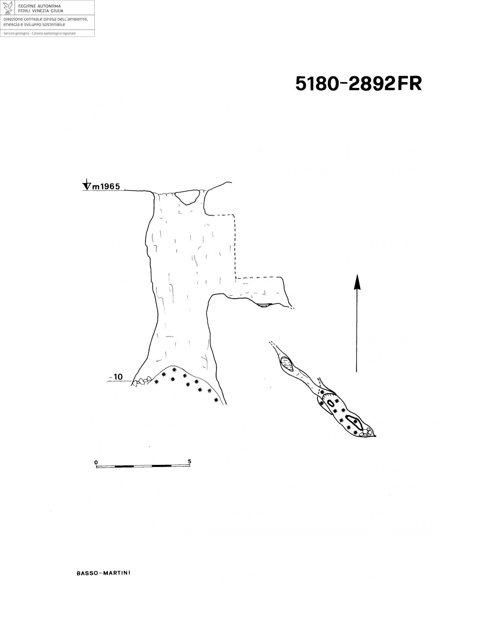
5180 | Pozzo 3° a N di Punta Medon


100m 500m 1000m
PDF KML GPX SHP

Nomi e numeri catastali

Nome principale: Pozzo 3° a N di Punta Medon

Numero catasto: 5180

Numero catasto locale: 2892FR

Numero totale ingressi: 1

Ingresso principale

Affidabilità posizione: Corretto

Presenza targhetta: No

Area geografica: Alpi Giulie

Comune: Chiusaforte

Area provinciale: Udine

Metodo rilevamento: GRAFICO -> Riconoscimento su carta

Lat. WGS84: 46,37247064

Lon. WGS84: 13,4801533

Est RDN2008/UTM 33N: 383107.557

Nord RDN2008/UTM 33N: 5136555.234

Quota ingresso (s.l.m.): 1965 m

Caratteristiche

Sviluppo planimetrico: 7 m

Profondità: 10 m

Dislivello totale: 10 m

Quota fondo: 1955 m

Breve descrizione del percorso d'accesso

Stessa descrisione del I pozzo a nord di Punta Medon.

Rilievo: Pianta e sezione (01/06/1992)

Pozzo 3° a N di Punta Medon

Centra la mappa


Regione Autonoma Friuli Venezia Giulia
Direzione centrale difesa dell'ambiente, energia e sviluppo sostenibile - Servizio geologico
c.f. 80014930327; p.iva 00526040324 | Via Sant'Anastasio 3 - 34132 Trieste
MAIL: csr@regione.fvg.it | PEC: ambiente@certregione.fvg.it
amministrazione trasparente | privacy | utilizzo dei dati | cookie | note legali | accessibilità | cambio preferenze cookie

App iOSApp Android

Realizzazione web e App iOS/Android by Divulgando Srl - Trieste
Illustrazione

Accedi

Entra con le tue credenziali

Non sei registrato? Registrati ora
Non ricordi la password? Clicca quì