logo: Regione FVG
logo: Regione FVG
vai ai contenuti
  • Home
  • Il catasto grotte
    • Presentazione
    • Note storiche
    • Elenco gruppi
    • Galleria fotografica
    • Galleria video
    • Virtual Tour ipogei
    • Sistema del Monte Canin
  • Aiuto
    • Domande e risposte (faq)
    • Precisione rilievo (grado UIS)
    • Come funziona
    • Registro modifiche sito web/App
  • Strumenti
    • Conversione coordinate
    • Download dati
    • App mobile
    • Agenda della grotta
    • Ricerca avanzata
    • Statistiche
    • Cartografia
  • Contatti
  • Accedi/Registrati
  • Italiano - IT
    • Italiano
    • English
    • Slovenščina

Catasto Speleologico Regionale

 

Aggiornamento scheda catastale




4243 | Abisso sotto Cima Mogenza


100m 500m 1000m
PDF KML GPX SHP

Nomi e numeri catastali

Nome principale: Abisso sotto Cima Mogenza

Numero catasto: 4243

Numero catasto locale: 2379FR

Numero totale ingressi: 1

Ingresso principale

Presenza targhetta: No

Area geografica: Alpi Giulie

Comune: Tarvisio

Area provinciale: Udine

Metodo rilevamento: GRAFICO -> Riconoscimento su carta

Lat. WGS84: 46,38816211

Lon. WGS84: 13,52523818

Est RDN2008/UTM 33N: 386607.525

Nord RDN2008/UTM 33N: 5138233.148

Quota ingresso (s.l.m.): 1805 m

Caratteristiche

Sviluppo planimetrico: 15 m

Profondità: 134 m

Dislivello totale: 134 m

Quota fondo: 1671 m

Breve descrizione del percorso d'accesso

La cavità si trova alla base di una ripida parete, ad un centinaio di metri dalla Cima Piccola di Mogenza.

Descrizione dei vani interni della cavità

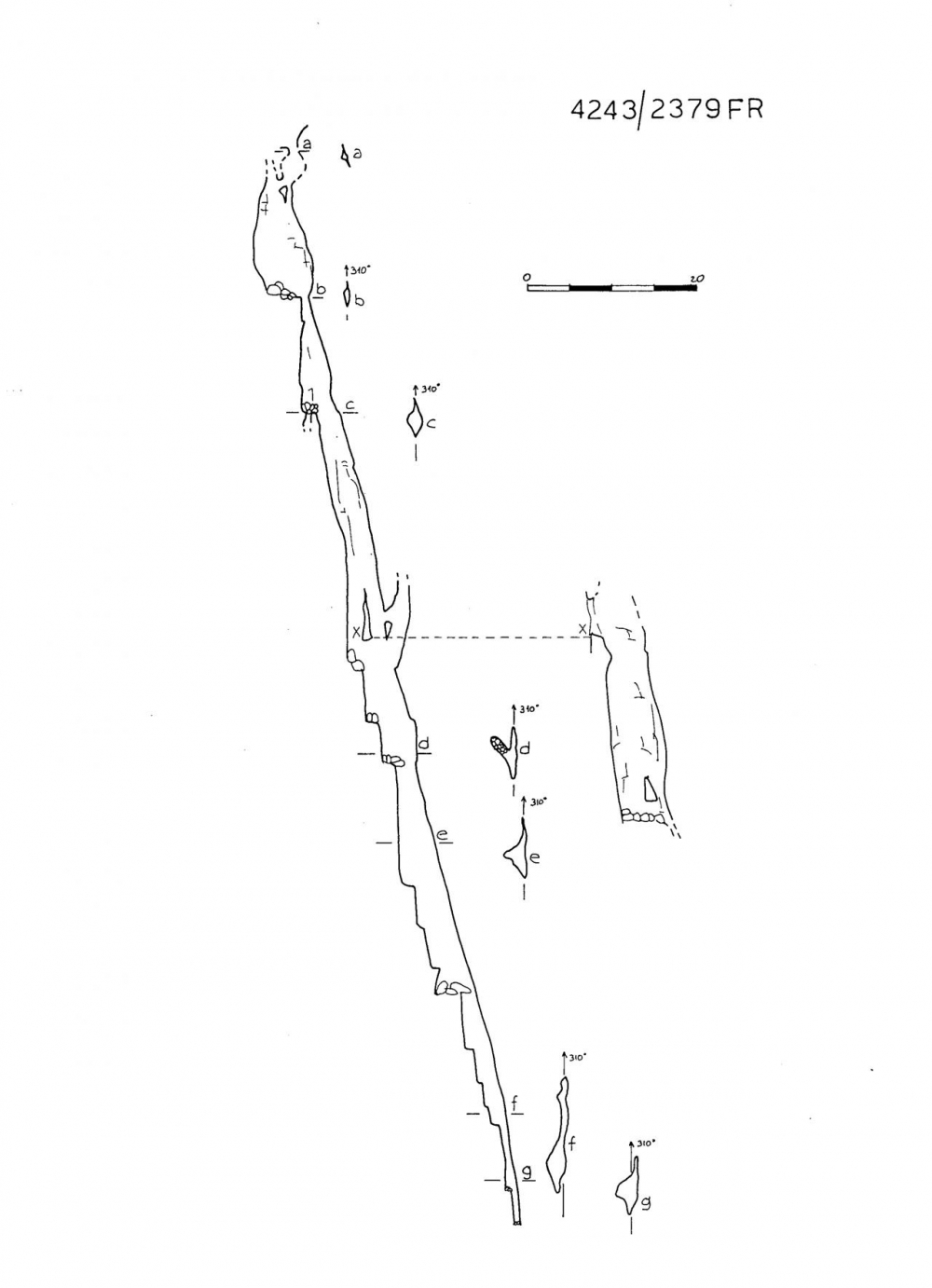
La grotta è costituita da un unico pozzo impostato su una frattura orientata 310°N.

Rilievo: Pianta e sezione (20/08/1985)

Abisso sotto Cima Mogenza

Centra la mappa


Regione Autonoma Friuli Venezia Giulia
Direzione centrale difesa dell'ambiente, energia e sviluppo sostenibile - Servizio geologico
c.f. 80014930327; p.iva 00526040324 | Via Sant'Anastasio 3 - 34132 Trieste
MAIL: csr@regione.fvg.it | PEC: ambiente@certregione.fvg.it
amministrazione trasparente | privacy | utilizzo dei dati | cookie | note legali | accessibilità | cambio preferenze cookie

App iOSApp Android

Realizzazione web e App iOS/Android by Divulgando Srl - Trieste
Illustrazione

Accedi

Entra con le tue credenziali

Non sei registrato? Registrati ora
Non ricordi la password? Clicca quì