logo: Regione FVG
logo: Regione FVG
vai ai contenuti
  • Home
  • Il catasto grotte
    • Presentazione
    • Note storiche
    • Elenco gruppi
    • Galleria fotografica
    • Galleria video
    • Virtual Tour ipogei
    • Sistema del Monte Canin
  • Aiuto
    • Domande e risposte (faq)
    • Precisione rilievo (grado UIS)
    • Come funziona
    • Registro modifiche sito web/App
  • Strumenti
    • Conversione coordinate
    • Download dati
    • App mobile
    • Agenda della grotta
    • Ricerca avanzata
    • Statistiche
    • Cartografia
  • Contatti
  • Accedi/Registrati
  • Italiano - IT
    • Italiano
    • English
    • Slovenščina

Catasto Speleologico Regionale

 

Aggiornamento scheda catastale




1388 | Pozzo tra Gropada e Basovizza


100m 500m 1000m
PDF KML GPX SHP

Nomi e numeri catastali

Nome principale: Pozzo tra Gropada e Basovizza

Numero catasto: 1388

Numero catasto locale: 4346VG

Numero totale ingressi: 1

Ingresso principale

Data esecuzione posizione: 06/12/1964

Affidabilità posizione: Da verificare

Presenza targhetta: No

Area geografica: Carso Triestino

Comune: Trieste

Area provinciale: Trieste

Metodo rilevamento: GRAFICO -> Riconoscimento su carta

Lat. WGS84: 45,6537048

Lon. WGS84: 13,85162578

Est RDN2008/UTM 33N: 410525.763

Nord RDN2008/UTM 33N: 5056214.163

Quota ingresso (s.l.m.): 371 m

Caratteristiche

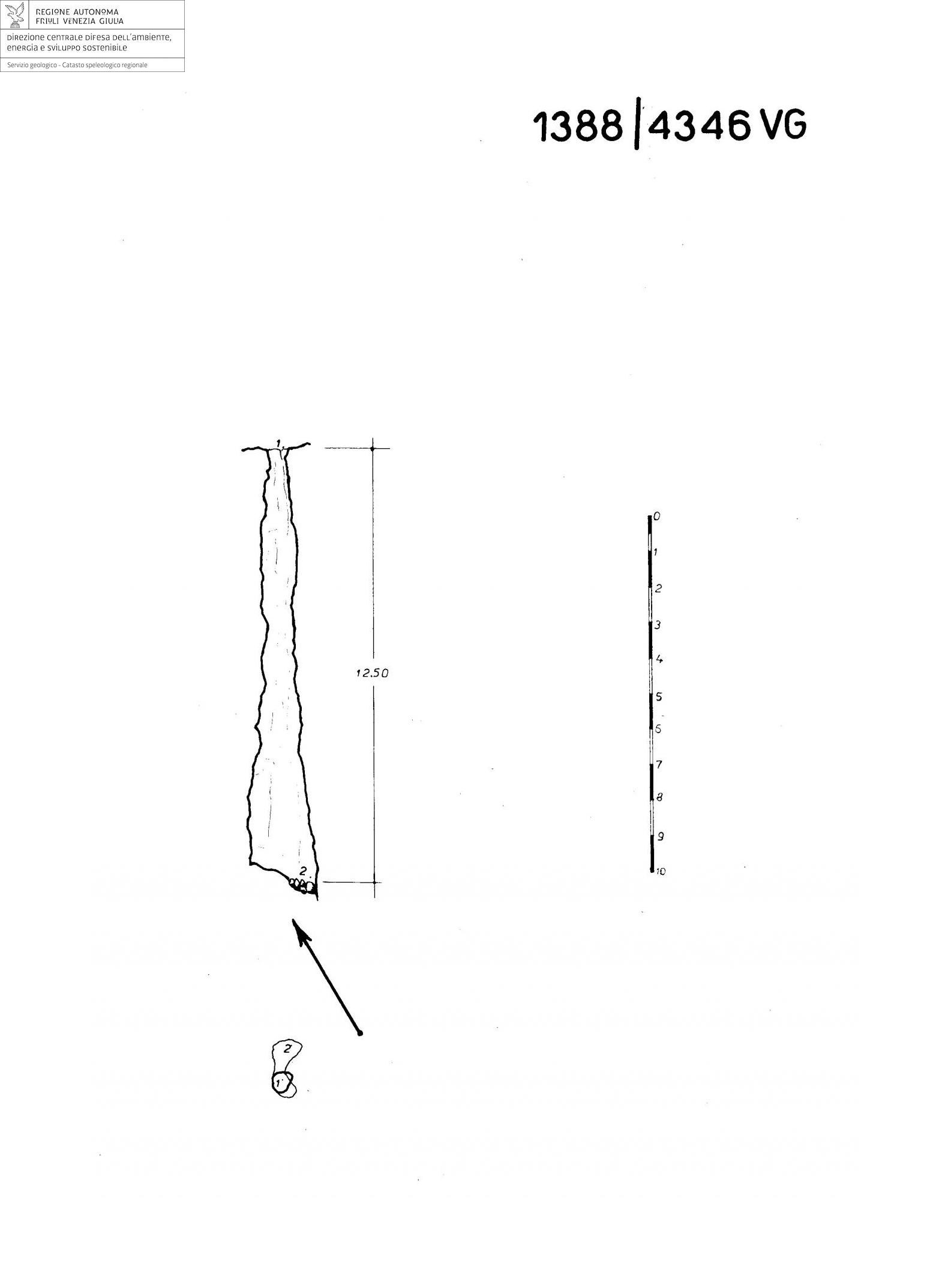
Sviluppo planimetrico: 1,8 m

Profondità: 12,5 m

Dislivello totale: 12,5 m

Quota fondo: 358,5 m

Descrizione dei vani interni della cavità

Il pozzo è stretto ed è chiuso da detriti che bloccano una probabile prosecuzione.

Rilievo: Pianta e sezione (06/12/1964)

Pozzo tra Gropada e Basovizza

Centra la mappa


Regione Autonoma Friuli Venezia Giulia
Direzione centrale difesa dell'ambiente, energia e sviluppo sostenibile - Servizio geologico
c.f. 80014930327; p.iva 00526040324 | Via Sant'Anastasio 3 - 34132 Trieste
MAIL: csr@regione.fvg.it | PEC: ambiente@certregione.fvg.it
amministrazione trasparente | privacy | utilizzo dei dati | cookie | note legali | accessibilità | cambio preferenze cookie

App iOSApp Android

Realizzazione web e App iOS/Android by Divulgando Srl - Trieste
Illustrazione

Accedi

Entra con le tue credenziali

Non sei registrato? Registrati ora
Non ricordi la password? Clicca quì